NEW

北園町分譲地⑤

500万円

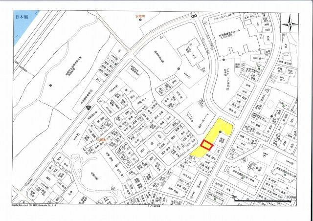
新潟県柏崎市北園町

越後線「東柏崎」駅徒歩15分

価格
500万円
坪単価
9.21万円(54.28坪)
所在地
新潟県柏崎市北園町
交通

越後線東柏崎」駅 徒歩15分

土地面積(坪数)
179.47㎡(54.28坪)
建ぺい率 / 容積率
60% / 200%

基本情報

販売区画数
-
総区画数
-
土地面積(坪数)
179.47㎡(54.28坪)
坪単価
9.21万円
私道負担面積
割合
-
セットバック
無 記載なし
建ぺい率 /
容積率
60% / 200%
高圧線下面積
-
傾斜地部分面積
-
路地状敷地
-
地目
宅地
地勢
平坦
造成工事
完了予定
-
土地権利
所有権
建築条件
都市計画
非線引区域
用途地域
第一種中高層住居専用
接道状況
一方(北西 7.0m 間口 10.7m)
国土法届出要否
不要
最適用途
住宅用地
その他
法令上の制限
-
取引態様
売主
現況
更地
引渡条件
-
引渡時期
即時
開発許可番号
-
取引条件の
有効期限
2026年03月01日

設備条件

設備条件
  • 都市ガス / 公営水道 / 公共下水 / 電気有
設備(その他)
    北園町に分譲地!建築条件なし、仲介料なし、公営水道、公共本下水、都市ガス、電気、側溝、除雪道路

その他

物件番号
96364147
管理コード
-
情報更新日
2026年02月15日
次回更新予定日
2026年03月01日
取扱会社
  • 有限会社ひまわりネットワーク
  • 新潟県柏崎市宮場町9-23 
  • TEL:0257-22-0851
  • 新潟県知事 (6) 第4167号

周辺施設

  • 第一中学校の画像

    中学校

    第一中学校

    1039m(13分)

  • 柏崎小学校の画像

    小学校

    柏崎小学校

    1639m(21分)

支払いシミュレーション

月々の支払額
9.6
購入希望物件価格
万円
頭金
万円
金利
%
返済額(ボーナス1回分)
万円
返済期間

※ボーナスは自動で年2回分で計算されます。

近隣の物件

  1. 藤井土地

    柏崎市大字藤井

    - (438.00㎡)

    100万円

  2. 三島町月極駐車場

    柏崎市三島町

    - (225.52㎡)

    365万円

  3. 久米売地

    柏崎市大字久米

    - (571.30㎡)

    40万円

  4. 城東1丁目売地

    柏崎市城東1丁目

    - (242.52㎡)

    590万円

北園町分譲地⑤

北園町分譲地⑤

500万円

-(179.47㎡)

お気軽にお問い合わせください

LINEからお問い合わせ 無料お問い合わせ

有限会社ひまわりネットワーク

0257-22-0851

平日 9:00~17:30 土曜日 9:00~12:00

(休:日・祝日)