北園町分譲地⑧

590万円

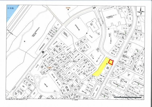
新潟県柏崎市北園町

越後線「東柏崎」駅徒歩15分

価格
590万円
坪単価
8.89万円(66.38坪)
所在地
新潟県柏崎市北園町
交通

越後線東柏崎」駅 徒歩15分

土地面積(坪数)
219.47㎡(66.38坪)
建ぺい率 / 容積率
70% / 200%

基本情報

販売区画数
-
総区画数
-
土地面積(坪数)
219.47㎡(66.38坪)
坪単価
8.89万円
私道負担面積
割合
-
セットバック
無 記載なし
建ぺい率 /
容積率
70% / 200%
高圧線下面積
-
傾斜地部分面積
-
路地状敷地
-
地目
宅地
地勢
-
造成工事
完了予定
-
土地権利
所有権
建築条件
都市計画
非線引区域
用途地域
第一種中高層住居専用
接道状況
角地(北東 公道 11.0m 間口 11.0m)(南東 公道 12.0m 間口 12.0m)
国土法届出要否
不要
最適用途
-
その他
法令上の制限
-
取引態様
売主
現況
更地
引渡条件
-
引渡時期
即時
開発許可番号
-
取引条件の
有効期限
2026年05月21日

設備条件

設備条件
  • 都市ガス / 公営水道 / 公共下水 / 電気有
設備(その他)
    北園町に分譲地!建築条件なし、仲介料なし、公営水道、公共本下水、都市ガス、電気、側溝、除雪道路

その他

物件番号
96363723
管理コード
-
情報更新日
2026年05月07日
次回更新予定日
2026年05月21日
取扱会社
  • 有限会社ひまわりネットワーク
  • 新潟県柏崎市宮場町9-23 
  • TEL:0257-22-0851
  • 新潟県知事 (6) 第4167号

周辺施設

  • 第一中学校の画像

    中学校

    第一中学校

    1006m(13分)

  • 柏崎小学校の画像

    小学校

    柏崎小学校

    1575m(20分)

支払いシミュレーション

月々の支払額

※実際の金額と異なる場合があります。

購入希望物件価格
万円
頭金
万円
金利
%
返済額(ボーナス1回分)
万円
返済期間

※ボーナスは自動で年2回分で計算されます。

近隣の物件

  1. 新赤坂39 売土地

    柏崎市新赤坂5丁目

    - (332.70㎡)

    1,0064,000

  2. 三島町月極駐車場

    柏崎市三島町

    - (225.52㎡)

    365万円

  3. 久米売地

    柏崎市大字久米

    - (571.30㎡)

    40万円

  4. 北園町分譲地⑤

    柏崎市北園町

    - (179.47㎡)

    500万円

よく見られている物件

  1. 北園町分譲地⑧

    柏崎市北園町

    - (219.47㎡)

    590万円

  2. 東本町二丁目売地

    柏崎市東本町2丁目

    - (217.69㎡)

    670万円

  3. 北園町分譲地⑤

    柏崎市北園町

    - (179.47㎡)

    500万円

  4. 新赤坂39 売土地

    柏崎市新赤坂5丁目

    - (332.70㎡)

    1,0064,000

北園町分譲地⑧

北園町分譲地⑧

590万円

-(219.47㎡)

お気軽にお問い合わせください

LINEからお問い合わせ 無料お問い合わせ

有限会社ひまわりネットワーク

0257-22-0851

平日 9:00~17:30 土曜日 9:00~12:00

(休:日・祝日)